Benedykt XVI. - Światło wiary: kiedy zło nie może znieść spojrzenia Świętej Twarzy. Jezu ... quam bonus te quaerentibus! Święta Twarz - Pieczęć Boskości. Od Armina Schwibacha
Rzym (kath.net/as) „Chcę, aby moje oblicze, które odzwierciedla najgłębszy ból mojej duszy, ból i miłość mojego serca, było bardziej zaszczycone. Kto na mnie patrzy, pociesza mnie ”: wtorek przed Środą Popielcową, święto Świętej Twarzy,„ Volto Santo ”, papież Pius XII. zatwierdzony 17 kwietnia 1958 r.
Duchowość Świętej Twarzy: ma szczególny związek z błogosławioną Marią Pieriną De Micheli (ur. 11 września 1890 r. W Mediolanie, † 26 lipca 1945 r. W Centonara) ze Zgromadzenia Córek Niepokalanego Poczęcia w Buenos Aires. Została beatyfikowana 10 maja 2010 roku. Jej święto liturgiczne przypada na 11 września.
Maria Pierina żyła bliską relacją z Panem i Matką Najświętszą. To Pan poprosił Błogosławioną Matkę Pierinę de Micheli, aby wtorek poprzedzający Środę Popielcową poświęcono Jego Świętemu Obliczu uroczystą mszą i poprosił Kościół o włączenie tego święta do swoich świąt.
W Wielki Piątek 1902 roku jedenastoletnia Pierina usłyszała głos Jezusa. To doświadczenie „obudziło w niej szczególną cześć dla świętego oblicza Jezusa. Później szerzyła tę cześć wśród swoich współsióstr w zakonie jako skuteczny środek przeciw pokusom zła ”.
Szczególnie czczona była św. Teresie od Dzieciątka Jezus i Świętej Twarzy, w której kanonizacji mogła wziąć udział 17 maja 1925 r. W Rzymie.
Nocami regularnie nawiedzały ją demony i „zły wróg”. Dolegliwościom tym towarzyszyło emocjonalne, ale często także fizyczne cierpienie. Podczas procesu beatyfikacyjnego jej siostry donosiły o nocnym zgiełku i hałasie dochodzącym z pokoju Madre Pieriny. Zniszczono meble, podarto i zhańbiono wizerunki świętej twarzy ”.
Madre Pierina, według biografów, bardzo cierpiała na spotkaniach z demonami, ale zawsze starała się wypełniać swoje zadania i obowiązki, niezależnie od własnego zdrowia: „Kiedy siostry pytały ją o nocne wydarzenia, Madre Pierina im zaprzeczała”.
Madre Pierina również regularnie miała wizje Jezusa i Najświętszej Maryi Panny, którzy przynosili jej orędzia i przyjmowali ich cierpienia jako pokutę za biedne dusze: „Jezus wielokrotnie prosił ją, aby szczególnie czczono Jego święte oblicze. W wizji Matki Bożej z 31 maja 1938 r. Madre Pierina została powołana w kaplicy klasztoru w Mediolanie, aby dalej szerzyć cześć świętej twarzy Jezusa: Matka Boża poprosiła ją o wykonanie szkaplerza z twarzą Jezusa. a na przodzie rewers powinien być hostem z monogramem IHS otoczonym promieniami ”. Matka Najświętsza „obiecała wielkie łaski dla tych, którzy noszą ten szkaplerz i składają wizytę w Najświętszym w każdy wtorek i codziennie przyjmują komunię”.
Madre Pierina chciała postępować zgodnie z tą instrukcją, „ale jej przewodnik dusz zalecił, aby zamiast szkaplerza wykonanego z materiału zrobić medalik. Natychmiast starała się uzyskać pozwolenie Kurii Arcybiskupiej w Mediolanie na produkcję i dystrybucję tego medalu. Obawiała się jednak, że taka prosta, mało znacząca siostra zakonna jak ona nie uzyska tego pozwolenia. 9 sierpnia 1940 r. Madre Pierina otrzymała od kurii arcybiskupiej zgodę, na jaką liczyła. Miała medalik wykonany z reprodukcją twarzy Jezusa z całunu turyńskiego na przodzie i hostię z wytłoczonym monogramem IHS z tyłu.
Pewnego dnia Madre Pierina znalazła pieniądze na produkcję medali, 11200 lirów, w kopercie na swoim biurku. Kiedy obawiała się, że Matka Boża zleciła jej szkaplerz, a nie medalik, Matka Boża ponownie się jej ukazała i zapewniła, że medal będzie również zawierał te same łaski ”.
W następnych wizjach Jezus zażądał specjalnego święta ku czci Jego świętego oblicza. Święto to powinno być obchodzone we wtorek przed Środą Popielcową i przygotowane nowenną modlitewną.
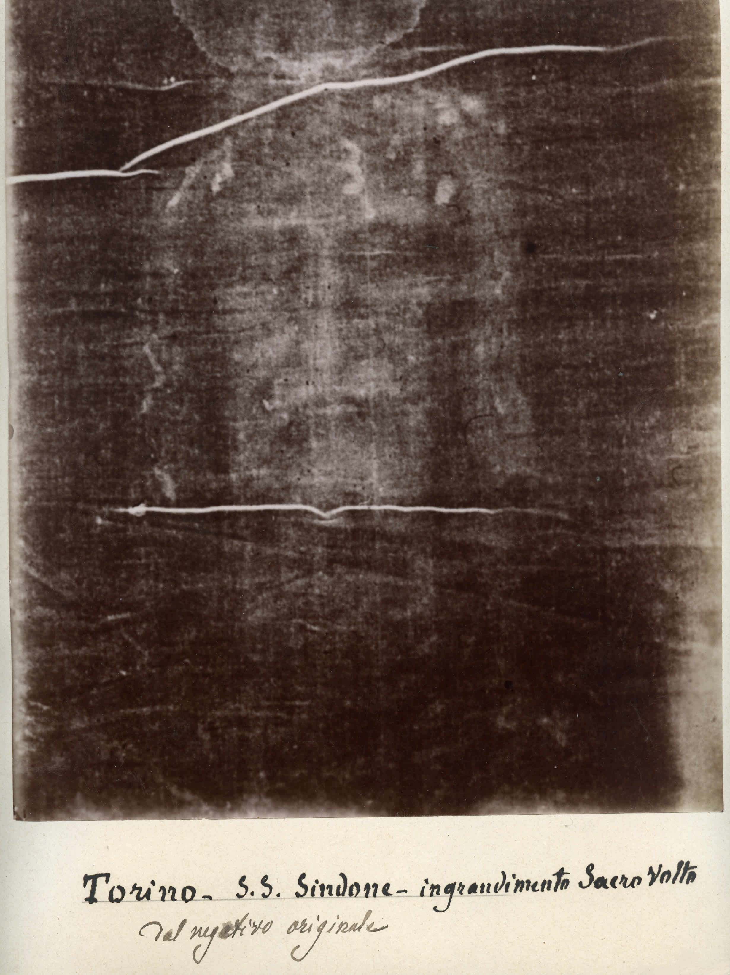
„Volto Santo” - dziś, po pionierskich badaniach i wysiłkach Paula Badde, ma szczególny związek z Manoppello, gdzie ta specjalna twarz na przezroczystej jedwabnej powłoce jest „nie tylko” szkaplerzem lub medalem od wieków, ale szczególnie na Ziemi wygląda „omnis terra”. Na tym obrazie, w tej „relikwii”, pokorze, z jaką Syn Boży żąda: czcij i całuj twarz, która wcześniej była zniesławiona przez Judasza, naprawiaj zło, które jest wyrządzone spojrzeniem na mnie.
Wtorek przed Środą Popielcową: święto naszych czasów.

+++
Modlitwa oparta na hymnie „Jesus, Dulcis Memoria” Bernharda von Clairvaux (1090 - 1153):
O Jezu, rzeczownik dulce,
Rzeczownik admirabile, rzeczownik confortans,
Quid enim canitur suavius,
Quid auditur jucundius
Quid cogitatur dulcis
Quam Jesu, Dei filius.
O rzeczownik Jesus, verus animae cibus,
In ore mel, in aure melos,
In corde laetitia mea.
Tuum itaque nomen, dulcissime Jesus,
In aeternum in ore meo portabo.
(O Jezu, imię drogie, imię pełne cudów, imię, które pociesza,
Co się śpiewa o słodszych,
Co bardziej radosnego
Co słodszego pomyśleć
Dla Jezusa, jedynego syna Bożego?
O imię Jezusa, prawdziwy pokarm duszy,
Miód w ustach, śpiew w uchu,
Radość w moim sercu.
Więc chcę Twoje imię, O najsłodszy Jezu,
Śpiewajcie wiecznie moimi ustami.)
1 września 2006 roku odwiedził go Papież Benedykt XVI sanktuarium „Volto Santo” w Manoppello:
„Nie mogli nawet odgadnąć, jak głęboka była tajemnica Jezusa z Nazaretu, jak bardzo jego 'twarz' okaże się niewytłumaczalna, niezgłębiona, do tego stopnia, że jeden z nich, Filip, po spędzeniu trzech lat z Jezusem, musiał usłyszeć podczas Ostatniej Wieczerzy: „Byłem z tobą tak długo, a nie rozpoznałeś mnie, Filipie?” A potem idź za tymi słowami, które wyrażają całą nowość objawienia Jezusa: „Kto mnie zobaczył, zoboaczył Ojca "(J 14, 9)". (cor+++)
Benedykt XVI, odwiedzający Sanktuarium Świętej Twarzy w Manopello, 1 września 2006:
Ekscelencjo, czcigodni bracia w biskupstwie, drodzy bracia i siostry!
Przede wszystkim muszę jeszcze raz podziękować z całego serca za przyjęcie, za wasze głębokie i życzliwe słowa, Waszą Ekscelencjo, za wyrażenie Waszej i Waszej przyjaźni oraz za dary, które mają wielkie znaczenie: oblicze Chrystusa , który jest tu czczony, staje się dla mnie moim domem, a następnie darami z waszego regionu, które wyrażają piękno i dobroć tego regionu oraz ludzi, którzy tu mieszkają i pracują, a także piękno i dobroć Stwórcy . Chcę tylko podziękować Panu za dzisiejsze proste i znajome spotkanie w miejscu, w którym możemy zastanowić się nad tajemnicą Bożej miłości, patrząc na ikonę „Świętej Twarzy”. Serdecznie dziękuję wszystkim obecnym za ciepłe przyjęcie, zaangażowanie i dyskrecję,którym wspieraliście moją prywatną pielgrzymkę - która jednak jako pielgrzymka kościelna nie może być całkowicie prywatna. Jak powiedziałem, w szczególności pozdrawiam i dziękuję Waszemu Arcybiskupowi.
Przyjaźniłem się z nim od wielu lat; pracowaliśmy razem w komisji teologicznej. W wielu rozmowach zawsze wyciągałem wnioski z jego ogromnej wiedzy, a także z jego książek. Dziękuję za dary, które mi dałeś i które naprawdę doceniam jako „znaki”, jak nazywał je abp Forte. W istocie są znakami prawdziwej i serdecznej komunii, która łączy ludność tego ukochanego regionu, Abruzji, z Następcą Piotra. Szczególne pozdrowienie kieruję do was, zgromadzonych tu kapłanów, zakonników i seminarzystów.
Szczególnie cieszę się, że wielu seminarzystów, a wraz z nimi przyszłość Kościoła, jest wśród nas obecna. Ponieważ nie mogę spotkać się z całą wspólnotą diecezjalną - może to się zdarzy innym razem - cieszę się, że reprezentujecie ich tutaj, którzy już jesteście oddani posłudze kapłańskiej lub życiu konsekrowanemu lub temu Przygotujcie kapłaństwo. Jesteście ludźmi, których lubię widzieć jako ludzi zakochanych w Chrystusie i do Niego ciągniętych, jako ludzi, którzy starają się uczynić swoje życie nieustannym poszukiwaniem Jego świętego oblicza.
Na koniec z wdzięcznością pozdrawiam wspólnotę Ojców Kapucynów, która nas przyjmuje i od wieków troszczy się o to sanktuarium, cel wielu pielgrzymów.
Kiedy wcześniej przerwałem modlitwę, pomyślałem o pierwszych dwóch apostołach, którzy - zachęceni przez Jana Chrzciciela - poszli za Jezusem nad Jordanem, jak czytamy na początku Ewangelii Jana (por. J 1, 35-37). . Ewangelista donosi, że Jezus odwrócił się i zapytał ich: „Czego chcecie?” Odpowiedzieli: „Rabbi, gdzie mieszkasz?” Odpowiedział: „Chodź i zobacz!” (Por. J 1, 38-39). Tego samego dnia dwaj, którzy szli za Nim, przeżyli niezapomniane przeżycie, które sprawiło, że powiedzieli: „Znaleźliśmy Mesjasza” (J 1, 41). Ten, którego widzieli zaledwie kilka godzin wcześniej jako zwykły „rabin”, przybrał jednoznaczną tożsamość, tożsamość oczekiwanego przez wieki Chrystusa.
Ale jaką długą drogę musieli przejść ci uczniowie! Nie mogli nawet odgadnąć, jak głęboka była tajemnica Jezusa z Nazaretu, jak bardzo jego „oblicze” okaże się niewytłumaczalne, niezgłębione, do tego stopnia, że jeden z nich, Filip, po trzech latach życia z Jezusem, musiał usłyszeć Ostatnia Wieczerza: „Byłem z tobą tak długo, a mnie nie poznałeś, Filipie?” A potem idź za tymi słowami, które wyrażają całą nowość objawienia się Jezusa:
„Kto mnie widział, widział Ojca” (J 14,9). Dopiero po jego cierpieniu, kiedy spotkają Go jako Zmartwychwstałego, kiedy Duch Święty oświeci ich umysły i serca, apostołowie zrozumieją znaczenie słów Jezusa i uznają go za Syna Bożego, jako obiecanego Mesjasz dla nich Odkupienie świata. Wtedy staną się jego niestrudzonymi posłańcami, odważnymi świadkami aż do męczeństwa. „Każdy, kto mnie widział, widział ojca”.
Tak, drodzy bracia i siostry, aby „ujrzeć Boga”, trzeba poznać Chrystusa i dać się ukształtować przez Jego Ducha, który prowadzi wierzących „do całej prawdy” (por. J 16, 13). Ktokolwiek spotyka Jezusa, który jest do Niego pociągany i jest gotów iść za Nim aż do poświęcenia własnego życia, osobiście doświadcza - tak jak on sam doświadczył na krzyżu - że tylko „ziarno pszenicy”, które spada na ziemię i obumiera przynosi „bogaty owoc” (por. J 12, 24). Taka jest droga Chrystusa, droga doskonałej miłości, która zwycięża śmierć: kto nią kroczy i „lekceważy życie swoje na tym świecie, zachowa je aż do życia wiecznego” (J 12,25).
To znaczy, że już żyje na tej ziemi w Bogu, pociągnięty i przemieniony blaskiem swego oblicza. Takie jest doświadczenie prawdziwych przyjaciół Boga, świętych, którzy rozpoznali i kochali w braciach, zwłaszcza tych najuboższych i najbardziej potrzebujących, oblicze tego Boga, na którego od dawna patrzyli z miłością na modlitwie. Są dla nas wzorami do naśladowania; zapewniają nas, że jeśli będziemy kroczyć tą drogą - drogą miłości - w wierności, to i my będziemy zadowoleni z formy Boga, jak mówi psalmista (por. Ps 17:15).
»Jezu… quam bonus te quaerentibus! - Jakże cenny jesteś, Jezu, dla tych, którzy Cię szukają! ”: Tak więc odśpiewaliśmy„ Jesu, dulcis memoria ”w starym hymnie, który niektórzy św. Przypisuje się Bernhardowi. Jest to hymn, który jest szczególnie wyrazisty w tej świątyni poświęconej „Świętemu Obliczu” i przypomina Psalm 24: „To są ludzie, którzy Go proszą, którzy szukają Twego oblicza, Boże Jakuba” (w. 6). Ale kim są „ludzie”, którzy szukają oblicza Boga, którzy są godni, aby „wstąpić na górę Pańską”, „stanąć w Jego świętym miejscu”? Psalmista wyjaśnia: Są to ci, którzy mają „ręce czyste” „i serce czyste”, którzy nie oszukują i nie przysięgają krzywoprzysięstwa (por. W. 3–4).
Aby więc wejść w komunię z Chrystusem i kontemplować Jego oblicze, aby rozpoznać oblicze Pana w obliczu braci i w codziennych sytuacjach, potrzebne są „czyste ręce i czyste serce”. Czyste ręce, czyli życie oświecone prawdą miłości, która pokonuje obojętność, zwątpienie, kłamstwa i egoizm; a ponadto potrzebne jest serce czyste, serce poruszane boskim pięknem, jak mówi mała Teresa von Lisieux w swojej modlitwie do Świętego Oblicza, serca, na którym odciska się oblicze Chrystusa.
Drodzy kapłani, jeśli wy, pasterze trzody Chrystusa, pozostajecie pod wrażeniem świętości Jego oblicza, nie lękajcie się: nawet wierzący, którzy zostaliście powierzeni waszej opiece, zostaną przez nią zarażeni i przemienieni. A wy, drodzy seminarzyści, przygotowujący się do bycia odpowiedzialnymi przywódcami ludu chrześcijańskiego, nie dajcie się pociągnąć do niczego innego niż Jezus i pragnienie służenia Jego Kościołowi. To samo pragnę powiedzieć wam, drodzy zakonnicy, aby każde wasze działanie było widzialnym odbiciem dobroci i miłosierdzia Bożego. „Będę szukał Twego oblicza, Panie”: szukanie oblicza Pańskiego musi być pragnieniem nas wszystkich, życzeniem wszystkich chrześcijan; ponieważ jesteśmy „ludem”, który w tym czasie szuka Jego oblicza, oblicza „Boga Jakuba”.Jeśli wytrwamy w poszukiwaniu oblicza Pana, to na końcu naszej ziemskiej pielgrzymki Jezus będzie naszą wieczną radością, naszą wieczną nagrodą i chwałą: »Sis Jesu nostrum gaudium, / qui es futurus praemium: / sit nostra in te gloria , / per cuncta semper saecula «.
Ta pewność natchnęła świętych z waszego regionu, o których chciałbym szczególnie wspomnieć Gabriela od Dziewicy i Kamila z Lellis; kierujemy do nich pełną czci pamięć i modlitwy. Ale teraz myślimy ze szczególnym szacunkiem o „Królowej Wszystkich Świętych”, Dziewicy Maryi, którą czcicie w różnych kaplicach i kaplicach w dolinach i górach Abruzji. Niech Najświętsza Matka, na twarzy której rysy Słowa Wcielonego są bardziej rozpoznawalne niż w jakimkolwiek innym stworzeniu, czuwa nad rodzinami i parafiami, nad miastami i narodami całego świata. Niech Matka Stwórcy pomoże nam również szanować przyrodę, wielki dar od Boga, którym możemy się zachwycać, patrząc na otaczające nas wspaniałe góry.Jednak dar ten jest coraz bardziej narażony na niebezpieczeństwa degradacji środowiska i dlatego należy go bronić i chronić. Jest to pilna sprawa, którą, jak powiedział arcybiskup Forte, słusznie podkreśla „Dzień refleksji i modlitwy o troskę o stworzenie”, który Kościół obchodzi dziś we Włoszech.
Drodzy bracia i siostry, chociaż raz jeszcze dziękuję wam za waszą obecność i dary, wzywam was wszystkich i waszych bliskich do błogosławieństwa Bożego ze starożytną biblijną formułą błogosławieństwa: „Niech was Pan błogosławi i strzeże; Niech Pan sprawi, że jego twarz jaśnie nad tobą i będzie dla ciebie łaskawy; zwróci się ku wam i da wam swój pokój ”(por. Lb 6, 24-26).
https://www.kath.net/news/74358
32 minuty temu w News , brak opinii czytelników podgląd
wydruku | Wyślij artykuł | Zgłoś literówkę
https://en.wikipedia.org/wiki/Holy_Face_of_Jesus
cor+++ - cor Gazeta Warszawska






